Leilão: 230426CORREIOS Visitas: 531
Leilão Encerrado

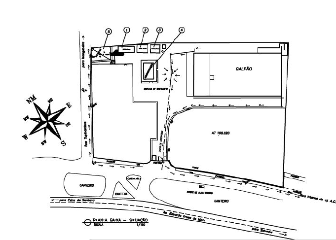
LOTE 1: Prédio Comercial com área de terr. 13.133,50 m² - Centro FEIRA DE SANTANA BA

slide 0 slide 1 slide 2 slide 3

Dê um lance

: 9.763.019,42

Por: (Direito de Preferência)

Dê um lance
Vendido por Compre Já

Aguarde o início do Leilão

DÊ UM LANCE À VISTA

Para participar do Leilão é necessário aguardar avaliação da documentação.
Incremento: R$ 100.000,00 Status: Aberto para lances Tipo de Leilão: Extrajudicial Código: 1189558
Compre Já
Lance Automático (Somente à vista)
R$

Detalhes

Resta(m) 07 dia(s) para o encerramento do leilão Leilão - SEU MELHOR NEGÓCIO É AGORA. VEM CONFERIR! Comitente: EMPRESA BRASILEIRA DE CORREIOS E TELEGRAFOS-ECT
Histórico de Lances
Arquivos Importantes
Edital AVISO DE LICITAÇÃO - DOU Matrícula
Descrição
Data 23/04/2026 14:00 R$ 9.763.019,42 Lote 1 Categoria Prédio Comercial Situação Desocupado Avaliação R$ 9.763.019,42 Leilão Único

Logo do comitente EMPRESA BRASILEIRA DE CORREIOS E TELEGRAFOS-ECT

Descrição

Endereço: AVENIDA EDUARDO FROES DA MOTA (NO CRI CONSTA AV. DE CONTORNO)), 4191, CENTRO
Cidade: FEIRA DE SANTANA Estado: BA CEP: 44007600
Leiloeiro: VICENTE PAULO - JUCEMA N° 12/96

Prédio Comercial. Áreas totais estimadas no local: terreno 13.133,50m² e construção 1.877,81m² (consta no CRI 2.441,64m² e no cadastro municipal 397,00m²) . 

Inscrição Municipal: 01.08.036.1146.001. Matrícula 10.045 do Cartório de Registro de Imóveis de Feira de Santana-BA. 

Obs.: Regularização e encargos perante os órgãos competentes, da divergência das áreas de terreno e construção que vierem a ser apuradas no local, com as constantes no cadastro municipal e averbadas no Registro de Imóveis, bem como da averbação da atual denominação do logradouro, correrão por conta exclusiva do comprador. Desocupado. 

As visitas deverão ser agendadas com antecedência mínima de 72 horas úteis junto ao leiloeiro, pelo telefone (11) 3777 5942 ou pelo e mail: comercialcorreios@vipleiloes.com.br, antes da realização da licitação.

 

Imóvel livre de débitos tributários.

 

Dinâmica do Leilão: Oportunidade Única de Investimento
Este imóvel será ofertado em leilão público oficial sob a modalidade de lances sucessivos. Isso significa que, caso não haja lances pelo valor inicial, o preço será reduzido imediatamente durante o evento, conforme os patamares abaixo:
 
Valores de Oferta

1ª Oferta: R$ 9.763.019,42 - Valor de Avaliação
2ª Oferta: R$ 8.875.472,20 - Valor Médio
3ª Oferta: R$ 7.987.924,98 - Valor Mínimo (Oportunidade)



Como funciona no dia do leilão?
O leiloeiro iniciará o pregão pela 1ª Oferta. Não havendo interessados, o leilão prossegue de forma contínua para a 2ª Oferta e, persistindo a ausência de lances, chega-se à 3ª Oferta (valor mínimo). O imóvel será arrematado por quem oferecer o maior lance, respeitando o preço mínimo da etapa vigente.

 

Condições de Pagamento e Arremate

Aproveite as condições facilitadas para garantir este ativo:

  • Pagamento à Vista: Realizado conforme as diretrizes detalhadas no edital.
  • Sinal de Garantia: Adiantamento obrigatório em até 24 horas após o encerramento do leilão.
  • Comissão do Leiloeiro: Pagamento devido em até 24 horas após a batida do martelo.

Prazo para quitação do valor do imóvel: Até 60 (sessenta) dias corridos, contados da data da licitação. 

Quitação integral em até 30 (trinta) dias corridos: sem reajuste. 

Quitação após 30 dias: atualização do saldo pelo IGP-M, a partir da data do adiantamento até a quitação.

Notas

1. A alienação do imóvel será “ad corpus”, ou seja, não haverá complemento de área, nem devolução de excesso, por estar sendo vendido como coisa certa e discriminada, tendo sido apenas enunciativa a referência às suas dimensões (Código Civil, Art. 500,§3º).

 

2. Eventuais alterações nas descrições dos imóveis, ou suas respectivas condições de venda, ocorridas até a data de realização do leilão, serão, a critério do Comitente Vendedor, noticiadas por meio deste site, cabendo ao interessado acompanhar e se cientificar das referidas alterações.

 

3. As fotos são meramente ilustrativas, devendo o arrematante visitar os bens para tomar ciência das reais condições físicas.

 

4. Quem tentar fraudar a arrematação poderá responder civilmente pelos danos (conforme os artigos 186 e 927 do Código Civil) e também criminalmente, conforme o artigo 358 do Código Penal. Este prevê pena de detenção de 2 meses a 1 ano, ou multa, além da punição correspondente à violência, caso haja uso de ameaça, fraude ou vantagem indevida para afastar concorrentes.

Fale com um Especialista